Maatulundusmaa 100%
Maatulundusmaa 100%
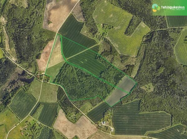
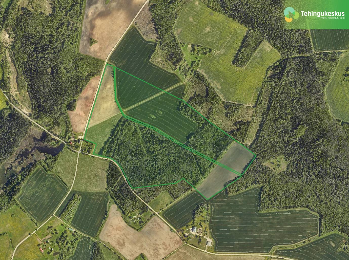
- Metsateatiste nr.: 50001214206, 50001214207 ja 50001214204 enampakkumine.
- Koorti kinnistule on ligipääs avalikult kasutatavalt teelt ja Saare kinnistule on ligipääs Koorti kinnistu kaudu.
- Väljaveoteed ja ladustamise koht tuleb raietööde lõppedes täielikult taastada.
- Raiejäätmed, mida ei kasutata väljaveoteede tugevdamiseks, tuleb kinnistult peale raietööde lõppemist koristada hiljemalt 6 kuu jooksul.
- Fotod: Metsaregister ja Maa- ja Ruumiameti Fotoladu.
Raieõiguse enampakkumise võitja on kohustatud täitma keskkonnasisest raiepäevikut, mille osadeks on raie staatus (alustamata, alustatud või lõpetatud), raietöödega alustamise ja tööde lõppetamise kuupäev. Samuti tuleb sisestada vähemalt kolm pilti peale raietööde lõpetamist: raielangist, väljaveoteest ja ladustamise kohast. Kui näiteks raielank ühele pildile ära ei mahu on kohustuslik sisestada piisavalt, et oleks ülevaade tehtud tööst.
NB! Raieõiguse enampakkumise võitjal on lubatud töödega alustada hetkest, mil ostuhind on jõudnud maaomaniku kontole.
Lihtoksjonil määratakse enampakkumisele alghind ja lõpukuupäev. Enampakkumise võidab suurima pakkumise teinud Ostja.
Alla alghinna tehtud pakkumised pole teistele Ostjatele nähtavad. Alla alghinna tehtud pakkumised edastatakse müüjale 24h jooksul, misjärel on viimasel 48h aega otsustamaks, kas müüa oksjoni ese parimale pakkujale. NB! Ka alla alghinna tehtud pakkumine on Ostja jaoks siduv!
Tegemist on automaatselt pikeneva lõpuga enampakkumisega. Juhul kui alghinna või alghinnast suurem viimane pakkumine on tehtud vähem kui 5 minutit enne enampakkumise tähtaega, pikeneb lõpp automaatselt 5 minuti võrra.
Enampakkumises esitletud informatsioon on koostatud avalike andmete ja müüja kirjelduste põhjal. Tehingukeskus ei vastuta objektiga seotud informatsiooni õigsuse eest, mistõttu soovitame enampakkumisel osalejal alati andmeid (nt kinnistu seisukord looduses, looduskaitselised piirangud, jms) kontrollida.
Meie kliendid räägivad

Asjaajamine Tehingukeskusega osutus väga edukaks ja positiivseks. Kõikidele probleemsetele küsimustele saab alati lahendus leitud. Kuna olen ise ,,aeglane,, asjaajaja ,siis Tehingukeskuse abiga sai kõik kiirelt tehtud. Väga kompetentsed ja vastutulelikud tegijad. Olen ülimalt rahul ja soovitan kindlasti ka teistele! Soovitan, et võiksite ennast suuremalt promoda!
Jäta enda ja kinnisvara andmed ning meie haldurid võtavad Sinuga esimesel võimalusel ühendust.