Maatulundusmaa 100%
- Kinnistule ei ole ligipääsu avalikult kasutatavalt teelt.
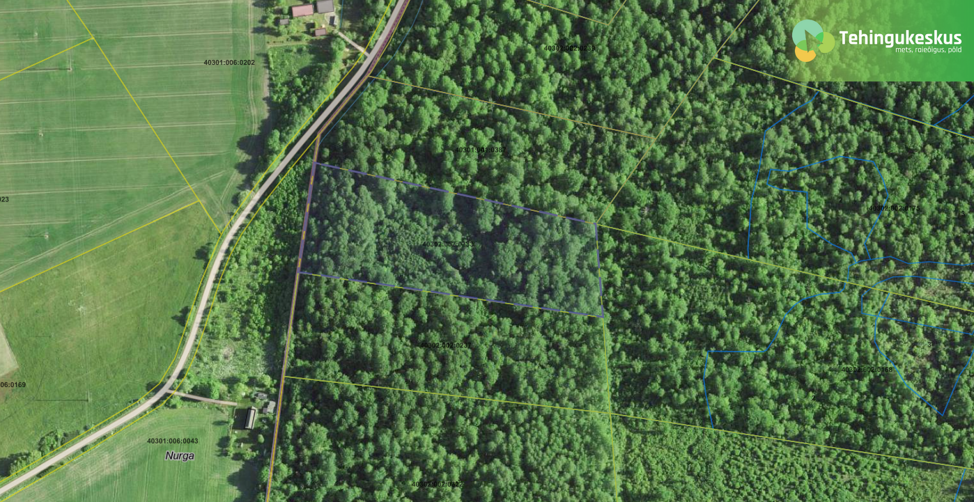
- Fotod: Metsaregister ja Maa-ja Ruumiameti Fotoladu 2023.a.
Lihtoksjonil määratakse enampakkumisele alghind ja lõpukuupäev. Enampakkumise võidab suurima pakkumise teinud Ostja.
Alla alghinna tehtud pakkumiste summad pole teistele Ostjatele nähtavad. Alla alghinna tehtud pakkumised edastatakse müüjale 24h jooksul, misjärel on viimasel 48h aega otsustamaks, kas müüa oksjoni ese parimale pakkujale. NB! Ka alla alghinna tehtud pakkumine on Ostja jaoks siduv!
Iga pakkumine on Ostja jaoks siduv. Pakkumist tehes nõustute kõigi keskkonnas kehtestatud tingimustega.
Enampakkumise võitja tehingust taganemine ei vabasta enampakkumise võitjat kohustusest tasuda teenustasu ja saamata jäänud tulu osa vastavalt Oksjonipidajaga kokku lepitud tingimustes.
Enampakkumises esitletud informatsioon on koostatud avalike andmete ja müüja kirjelduste põhjal. Tehingukeskus ega müüja ei vastuta objektiga seotud informatsiooni õigsuse eest, mistõttu soovitame enampakkumisel osalejal alati andmeid (nt kinnistu seisukord looduses, looduskaitselised piirangud, jms) kontrollida.
Pakkumist tehes kinnitab Pakkuja, et omab kogu vajalikku informatsiooni, mida peab vajalikuks oksjonil osalemiseks. Tehes pakkumist ilma vajaliku informatsioonita või esitatud informatsiooni kontrollimata, lasub kogu vastutus Ostjal.
Tehingukeskus ega müüja ei vastuta kohaliku omavalitsuse poolt seatud piirangute, kitsenduste ja arendamisvõimaluste eest.
Tegemist on automaatselt pikeneva lõpuga enampakkumisega. Juhul kui alghinna või alghinnast suurem viimane pakkumine on tehtud vähem kui 5 minutit enne enampakkumise tähtaega, pikeneb lõpp automaatselt 5 minuti võrra.
Sarnased oksjonid
Meie kliendid räägivad

Minu tänusõnad kuuluvad Tehingukeskuse haldurile Kelly Avald´le. Kelly andis kogu oksjoni perioodil tagasisidet, hoidis kursis, kuidas oksjon edeneb, kui palju on huvilisi jne. Müügi algusest saati andis vajalikku teavet, võttis telefonitsi ühendust, saatis vajalikke dokumente allkirjastamiseks, julgustas kinnistut müüma. Väga sõbralik, viisakas, kannatlik ja järjepidev, oma tööd tundev. Siit järeldus, et kogu Tehingukeskuse pere omab omadusi, mis kuulub müügitöö juurde.
Jäta enda ja kinnisvara andmed ning meie haldurid võtavad Sinuga esimesel võimalusel ühendust.